Franchement, je me demande vraiment si je ne devrais pas entamer ma reconversion dans la confection de Macramés ou l’arrachage artisanal de Pissenlit . Voila maintenant que VMware détruit délibérément le boulot des admins !
Jugez plutôt …
Nous avons démarré depuis un peu plus de 3 mois maintenant, la migration de nos vCenter et PSC en VCSA 6.5, comme je vous l’ai raconté ici et ici. Même si l’opération n’est pas encore terminé, une grosse partie de notre production fonctionne désormais, pour sa partie administration en tout cas, sur vSphere 6.5 (les ESXi sont encore en grande majorité sur 6.0).
Or, VMware vient de sortir une nouvelle version mineure de vCenter/PSC 6.5, l’update 1e. Celle-ci corrige son lot de bugs et vulnérabilités et fait également évoluer le client HTML5 – so called « vSphere Client » – en y intégrant les dernières avancées de son pendant non supporté, le projet sur Flings.
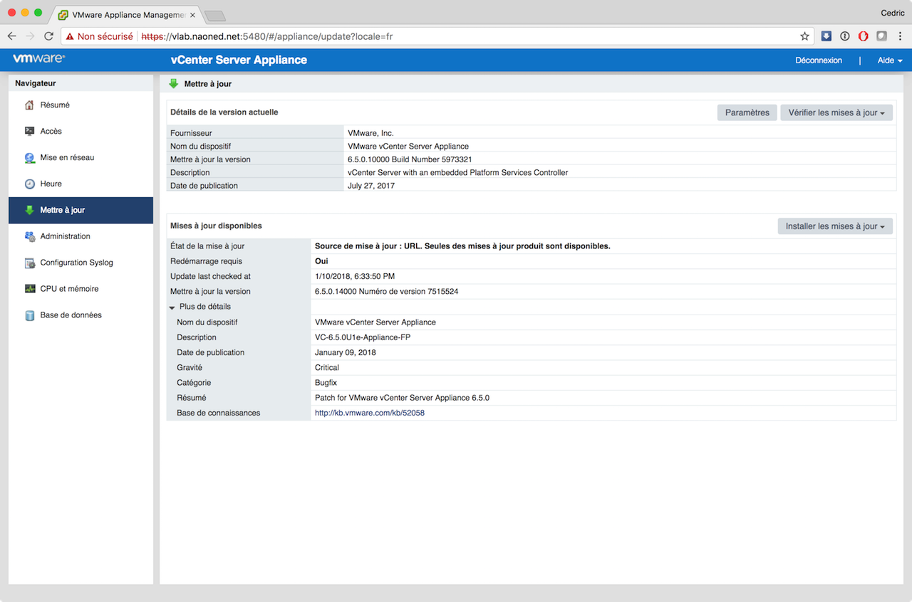
Désormais, avec VCSA, les mises à jours sont sensées être parfaitement intégrées, simples, rapides, efficaces et j’en passe ? J’ai donc procédé hier soir à cette mise à jour via mon vLab, en utilisant le moyen le plus simple possible : vérification online, téléchargement direct, installation via le bouton « update », et tout cela sur le site d’admin dédié de la VCSA (sur le port 5480).
Et bien … c’est un véritable scandale, tout à marché comme sur des roulettes !!! Pas une erreur, pas un plantage, un clicodrome je vous dit ! Et biensûr, je vous le prouve en images :
C’est vraiment bas, petit, sans envergure, VMware, vous m’entendez ! Je vais être obligé de prendre des mesures et déléguer complètement cette partie à mes collègues de la production… plus le choix ? Et je fais quoi maintenant, moi, je fais de l’excel ? JAMAIS vous m’entendez, JAMAIS ! Ah, pardon, on me dit en coulisse que je passe déjà plus de temps à faire des tableaux d’investissement et de charge que du sudo et du ls 🙁
Désolé, je suis fatigué ce soir et j’ai encore un article à écrire sur mon PoC récent de ProphetStor DiskProphet et Federator/Flexvisor … mon week-end ne sera pas encore réparateur ^^









